MEASURE NO. 24-170 City of Salem

Referred to the People By The City Council

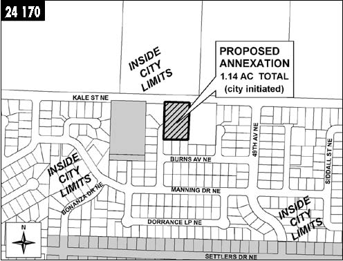
24-170

Measure Proposing Annexation of 1.14 Acres of Property Into

Salem Question: Should the Property located at 4770 Kale Street NE be annexed?

Summary: Approval of this measure would annex 1.14 acres of Property located at 4770 Kale Street NE to the City of Salem. The Property is within the Urban Growth Boundary. Upon annexation, the Property would be zoned City of Salem RA (Residential Agriculture).

Explanatory Statement:

If approved, this measure would result in annexation of 1.14 acres of territory (the Territory) to the City of Salem.

The Territory is located at 4770 Kale Street NE and designated in the Salem Area Comprehensive Plan as “Developing Residential.” Zoning of the Territory if annexed would be RA (Residential Agriculture). The RA zone district generally allows residential uses, select agricultural uses, playgrounds and parks, public buildings and child/adult care homes. The minimum lot size for single family dwellings is 4,000 square feet. This zoning designation allows a maximum density of 8 dwelling units per acre, assuming an allowance for public utilities and infrastructure. A complete description of uses in the RA zone district is available in Salem Revised Code (SRC) Chapter 145.

If annexed, the Territory is estimated to have the fiscal impact of creating an annual surplus to the City’s General Fund (in year 2005 dollars) of $1,013 based on development with an average density of 5 dwelling units per acre.

Adequate public facilities exist to serve the Territory, in accordance with the city’s adopted budget, master plans, Capital Improvement Plan and urban growth management process as set forth in SRC Chapter 66.

Additional information regarding the proposed annexation and zoning is available for public review at the Salem City Hall, Department of Community Development, Room 305, 555 Liberty Street SE, Salem, Oregon and on the City’s web site www.cityofsalem.net.

Submitted by,

Janet Taylor, On behalf of the Salem City Council

No arguments opposed to or in favor of this measure were filed.

 


Return Back to September 19, 2006 Voter Pamphlet Main Page